Hallo zusammen, ich möchte einen STM32G07 flashen. Dieser war aber schon programmiert. Die red-out-protection konnte ich von 0xff aud 0xaa ändern. Jetzt wird das Flash als 0xff gelesen. Leider kann ich ihn jetzt mehr programmieren:
1 | /usr/local/bin/st-flash --reset --connect-under-reset write rev8.bin 0x8000000 |
2 | st-flash 1.7.0-341-g4637b14 |
3 | 2023-12-12T16:39:27 WARN common.c: NRST is not connected |
4 | 2023-12-12T16:39:27 INFO common.c: STM32G07x_G08x: 36 KiB SRAM, 64 KiB flash in at least 2 KiB pages. |
5 | 2023-12-12T16:39:27 WARN common_flash.c: Flash base use default L0 address |
6 | file build/IFLIGHT2-rev8.bin md5 checksum: 29d1d8418f23722ff844fa68d41cdd5, stlink checksum: 0x001a0765 |
7 | 2023-12-12T16:39:27 INFO common_flash.c: Attempting to write 22056 (0x5628) bytes to stm32 address: 134217728 (0x8000000) |
8 | 2023-12-12T16:39:27 ERROR common_flash.c: Flash memory is write protected |
9 | 2023-12-12T16:39:27 WARN common_flash.c: Failed to erase_flash_page(0x8000000) == -1 |
10 | 2023-12-12T16:39:27 ERROR common_flash.c: Failed to erase the flash prior to writing |
11 | 2023-12-12T16:39:27 INFO common.c: Go to Thumb mode |
12 | stlink_fwrite_flash() == -1 |
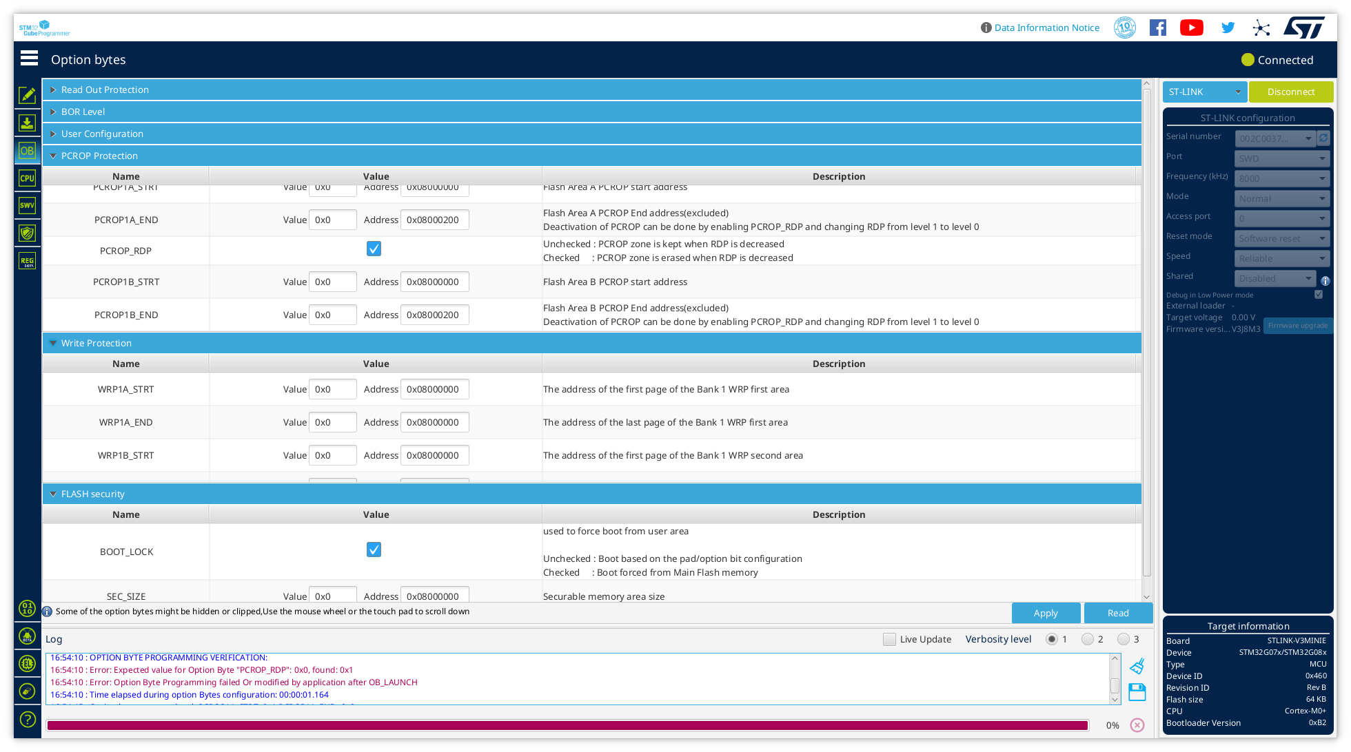
Was muss ich tun - mit dem st-flash oder dem STM32CubeProgrammer, um diesen Schutz los zu werden? Anbei ein Screenshot.
